Ну в Японии нверное строить в море дешевле чем на берегу.floMaster_ писав:да ну при чём тут овраг!
в Японии строят насыпной аэродром прямо в море, а у нас в овраг упёрлись...
Аэропорт Харьков (IATA: HRK)
Re: Харьков аэропорт (IATA: HRK)
Re: Харьков аэропорт (IATA: HRK)
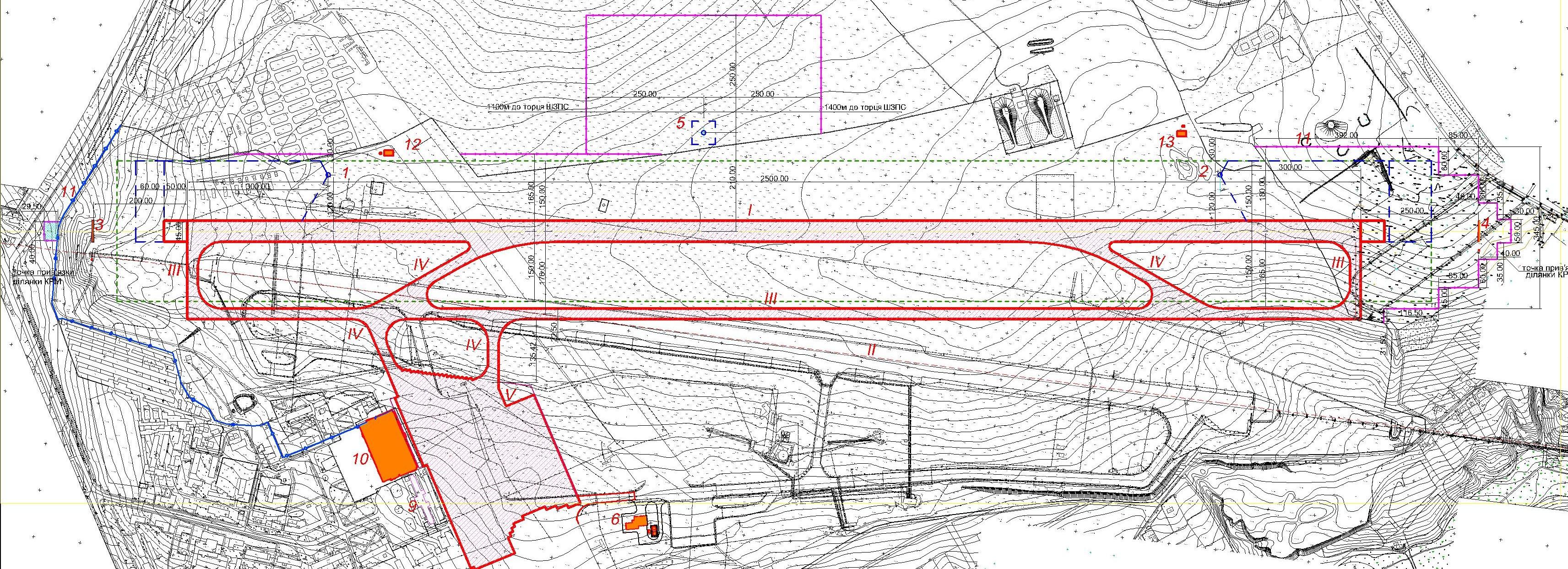
Конфигурация полосы не совсем правильная.
Смещенного порога не будет. Все 2500 м можно использовать для посадки с обоих курсов по 2-й кат.
Смещенного порога не будет. Все 2500 м можно использовать для посадки с обоих курсов по 2-й кат.
Re: Харьков аэропорт (IATA: HRK)
спасибо за уточнение! просто у меня схема за 2009 год была 
Re: Харьков аэропорт (IATA: HRK)
Vitaurus, что с финансированием? Ведь времени меньше года. И когда планируется начало строительства рулежных дорожек?
Re: Харьков аэропорт (IATA: HRK)
С конца февраля - начала марта должно пойти финансирование, сразу будем форсировать строительство полосы и следом МРД, мощности имеются. От погоды тоже зависит старт укладки бетона.
Re: Харьков аэропорт (IATA: HRK)
А когда планируют начать строительство АДВ?
Re: Харьков аэропорт (IATA: HRK)
Сколько нужно времени для реализации проекта реконструкции аэродрома и полосы полностью при нормальном финансировании? Я имею в виду не только строительство, но и сдачу, фактическое начало эксплуатации.
-
Madcat
- Airbus A340
- Повідомлень: 821
- З нами з: 08 серпня 2010, 13:46
- Звідки: HRK (Kharkov)
- Контактна інформація:
Re: Харьков аэропорт (IATA: HRK)
Овраг не причем!ysi писав:Madcat,
кроме полей там овраг
Re: Харьков аэропорт (IATA: HRK)
в апрелеysi писав:А когда планируют начать строительство АДВ?
Re: Харьков аэропорт (IATA: HRK)
Сами понимаете, в этом вопросе много факторов воздействия, помимо финансирования. Если быть оптимистами, и все аэродромные системы заработают без особых замечаний, то к концу осени будет эксплуатироваться уже новая полоса.Alександр писав:Сколько нужно времени для реализации проекта реконструкции аэродрома и полосы полностью при нормальном финансировании? Я имею в виду не только строительство, но и сдачу, фактическое начало эксплуатации.
Re: Харьков аэропорт (IATA: HRK)
Сравнительные характеристики старой и новой полосы:
TORA 2220 2500
TODA 2470 2800
ASDA 2220 2550
LDA 2220 2500
Orientation 83/263 76/256
Width 45 45
Pavement Type asphalt concrete concrete
Pavement (PCN) 40/R/C/X/T 52/R/B/X/T
TORA 2220 2500
TODA 2470 2800
ASDA 2220 2550
LDA 2220 2500
Orientation 83/263 76/256
Width 45 45
Pavement Type asphalt concrete concrete
Pavement (PCN) 40/R/C/X/T 52/R/B/X/T
- popTAB
- A380
- Повідомлень: 7310
- З нами з: 21 вересня 2010, 18:21
- Звідки: 49°48′45″N 23°57′22″E
- Контактна інформація:
Re: Харьков аэропорт (IATA: HRK)
Чому тоді для донецької полоси потрібно 8 місяців на сертифікацію, а Хаківську "до кінця осені" і побудувати встигнуть і сертифікувати?
Re: Харьков аэропорт (IATA: HRK)
Для Харкова час є критичним фактором, оскільки дві ЗПС не можуть фунціонувати одночасно. В Донецьку інша ситуація - вони мають 8 місяців, а ми ні.popTAB писав:Чому тоді для донецької полоси потрібно 8 місяців на сертифікацію, а Хаківську "до кінця осені" і побудувати встигнуть і сертифікувати?
Re: Харьков аэропорт (IATA: HRK)
т.е. в Харькове придется ввести в действие новую полосу, а потом уже завершать строительство всей МРД, поскольку часть МРД пересекает старую полосу
-
floMaster_
- Airbus A340
- Повідомлень: 790
- З нами з: 01 лютого 2011, 19:08
- Звідки: Харьков
- Контактна інформація:
Re: Харьков аэропорт (IATA: HRK)
а есть где-то список самолётов, который мы после завершения полосы сможем принимать у себя?
искал сводную таблицу пробега/разбега - не нашёл, может у кого ссылка есть?
искал сводную таблицу пробега/разбега - не нашёл, может у кого ссылка есть?
Re: Харьков аэропорт (IATA: HRK)
даOlek писав:т.е. в Харькове придется ввести в действие новую полосу, а потом уже завершать строительство всей МРД, поскольку часть МРД пересекает старую полосу
наливаем полосу и МРД (до определенного момента), устанавливаем ограничения на сущ. ВПП 1600-1900 м, достраиваем ВПП и примыкающую к перрону РД, вводим ее в эксплуатацию как пусковой комплекс (проектом это предусмотрено), далее достраиваем МРД и вторую РД примыкания к перрону, и вводим в эксплуатацию весь аэродромный комплекс.
-
Flieger
Re: Харьков аэропорт (IATA: HRK)
Vitaurus, уже весна на носу. Вон и ваш знаменитый сурок уже проснулся. Скажите по секрету, намечается ли открытие новых направлений из Харькова в этом году?
Re: Харьков аэропорт (IATA: HRK)
Хорс написал в новостях об открытии рейса Харьков-Киев. Это пока намерения, или действительно подавали заявку и начинают полеты?
Re: Харьков аэропорт (IATA: HRK)
Ввиду того, что авиакомпаниям известно о строительстве новой ВПП и связанного с этим ограничений, резкого роста направлений не ожидается. В ближайшее время будут из регулярных - Прага и Шарджа. Планируем - с апреля.Flieger писав:Vitaurus, уже весна на носу. Вон и ваш знаменитый сурок уже проснулся. Скажите по секрету, намечается ли открытие новых направлений из Харькова в этом году?
Re: Харьков аэропорт (IATA: HRK)
пока намерения, регулярный рейс в Жуляны, ясность с частотой и типом самолета будет в апреле.Olek писав:Хорс написал в новостях об открытии рейса Харьков-Киев. Это пока намерения, или действительно подавали заявку и начинают полеты?
Хто зараз онлайн
Зараз переглядають цей форум: Немає зареєстрованих користувачів і 5 гостей